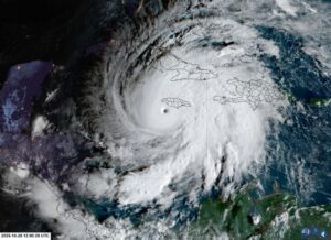
El huracán Melissa, de categoría 5, se ha consolidado como uno de los ciclones más potentes en lo que va de la temporada del Atlántico, con vientos máximos sostenidos de casi 300 kilómetros por hora y lluvias torrenciales que se aproximan a Jamaica. Se espera que el fenómeno toque tierra en los próximos minutos, generando alarma en toda la región.
Melissa se ha convertido en el tercer huracán de categoría 5 de la actual temporada, un hecho sin precedentes desde 2005, año en el que se formaron cuatro ciclones de máxima intensidad, incluido el devastador Katrina. Además, será el primer huracán que toque tierra como categoría 5 desde 2019, cuando Dorian golpeó Bahamas. Su velocidad de viento es la más alta registrada hasta ahora en esta temporada, alcanzando los 297 kilómetros por hora (185 millas), lo que representa un peligro extremo para las poblaciones a su paso.
El rugido del huracán: un sonido que alarma a Jamaica
Uno de los efectos más impresionantes y aterradores de Melissa es el gran ruido que genera a su paso. El huracán provoca un rugido constante debido a la combinación de vientos extremos y la presión atmosférica extremadamente baja en su ojo, medida en 892 milibares, una de las más bajas registradas en la historia reciente.
TAL VEZ TE INTERESE: Huracán Melissa deja devastación en Jamaica
Este sonido ensordecedor acompaña las lluvias torrenciales, los árboles arrancados de raíz y las olas que golpean la costa, provocando una sensación de desastre inminente entre los habitantes de la isla.
Los expertos del Centro Nacional de Huracanes (NHC) advierten que la lentitud de su avance, de apenas 9 kilómetros por hora, aumentará la acumulación de precipitaciones, estimadas entre 38 y 76 centímetros, con máximos de hasta un metro, lo que podría generar inundaciones repentinas y deslizamientos de tierra.
Impacto y víctimas en el Caribe
Desde su formación, Melissa ha dejado al menos nueve víctimas mortales en el Caribe: tres en Jamaica, tres en Haití, dos en Panamá y una en República Dominicana. Además, se registran graves daños estructurales, cientos de evacuados y comunidades aisladas por desbordamientos de ríos y caída de árboles.
Tras su paso por Jamaica, se espera que el huracán cruce el sureste de Cuba y llegue a las Bahamas en los próximos días, manteniendo en alerta máxima a las autoridades y a la población. Las lluvias extremas, los vientos huracanados y el incesante rugido del ciclón continúan poniendo a prueba la capacidad de respuesta de la región, recordando a todos la fuerza destructiva de estos fenómenos naturales y la necesidad de extremar precauciones.

Deja un comentario Cancelar respuesta