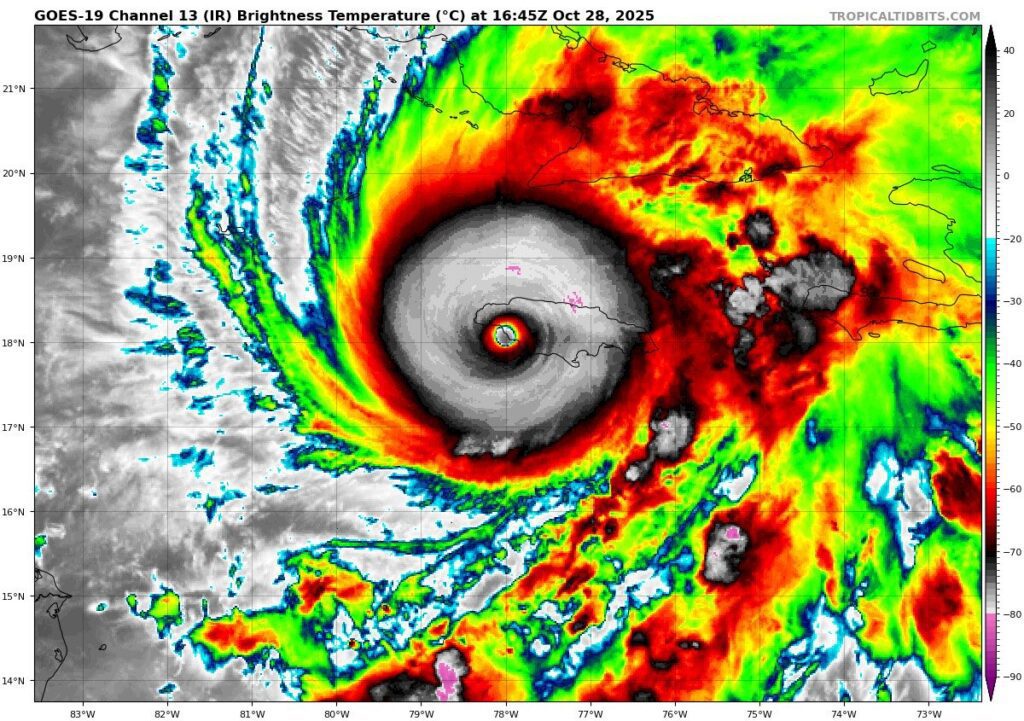
El huracán Melissa tocó tierra este martes en Jamaica como ciclón de categoría 5 con vientos máximos de 295 km/h, según el boletín más reciente del Centro Nacional de Huracanes (NHC) de Estados Unidos.
Huracán Melissa toca tierra en Jamaica
Jamaica enfrenta este martes una de las peores embestidas naturales de su historia con la llegada del huracán Melissa, que se intensificó hasta alcanzar la categoría 5, con vientos sostenidos de 298 kilómetros por hora y ráfagas de hasta 322 km/h en las zonas montañosas.
De acuerdo con el NHC, el huracán Melissa tocó tierra alrededor de las 11 a.m. de este 28 de octubre cerca de New Hope, Jamaica.
El ciclón, descrito por expertos como “catastrófico”, se prevé que cause destrucción masiva, inundaciones repentinas y deslizamientos de tierra a lo largo de toda la isla.
Las calles de Kingston, la capital jamaicana, amanecieron prácticamente vacías mientras Melissa entra desde el sur del Caribe. Solo se observaban algunos transeúntes apresurados y animales buscando refugio entre árboles azotados por el viento.
Se espera que Melissa se debilite a categoría 4 a medida que avance por la isla en dirección noreste.
Después impactará el oriente de Cuba en la noche del martes al miércoles para más tarde seguir en dirección noreste con destino a Bahamas, según los pronósticos.

Deja un comentario Cancelar respuesta