El huracán Melissa continúa intensificándose en el Caribe y este lunes 27 de octubre de 2025 alcanzó la categoría 5 en la escala Saffir-Simpson, según informó el Servicio Meteorológico Nacional (SMN) de la Comisión Nacional del Agua (Conagua). El fenómeno se encuentra en observación constante por su posible impacto en las costas del sureste mexicano.
De acuerdo con el más reciente reporte del SMN, el centro del huracán se ubica a 230 kilómetros al suroeste de Kingston, Jamaica, y a 1,045 kilómetros al este-sureste de Cancún, Quintana Roo. Presenta vientos máximos sostenidos de 270 km/h y se desplaza hacia el oeste a 6 km/h, lo que lo convierte en un sistema extremadamente peligroso por la fuerza de sus rachas.
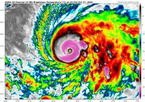
Impresionante video desde el ojo del huracán
Un video grabado el 26 de octubre por un cazador de huracanes muestra el interior del ojo de Melissa, una zona de calma rodeada por nubes densas y muros de tormenta que giran violentamente a su alrededor.
TAL VEZ TE INTERESE: Huracán Melissa es un poderoso huracán categoría 5: alerta máxima en Jamaica y Cuba
Las imágenes, compartidas en redes sociales, revelan la magnitud y el poder del fenómeno, que mantiene en alerta a las autoridades mexicanas y al público.
Según la trayectoria prevista, Melissa mantendrá su intensidad como huracán categoría 5 hasta el martes 28 de octubre, cuando comenzará a debilitarse gradualmente a categoría 3. Para los días 29 y 30, se espera que descienda a categoría 2, y finalmente a categoría 1 hacia el 31 de octubre.
Por el momento, el fenómeno no representa un peligro directo para el territorio mexicano, pero las autoridades exhortan a la población a mantenerse informada, ya que su trayectoria podría variar dependiendo de las condiciones del océano y la atmósfera.
Lluvias y alertas en varios estados del país
Aunque Melissa se mantiene a distancia, otros sistemas meteorológicos asociados a su presencia provocarán lluvias fuertes y vientos intensos en el sureste mexicano. Se prevén lluvias de fuertes a muy fuertes en Quintana Roo, Chiapas, Tabasco y Campeche, además de chubascos en Jalisco, Michoacán, Guerrero, Oaxaca y Yucatán.
El SMN advirtió que estas precipitaciones podrían venir acompañadas de descargas eléctricas y caída de granizo, así como causar inundaciones, deslaves y crecidas de ríos y arroyos. Se recomienda a la población extremar precauciones, atender los avisos oficiales y evitar actividades en zonas costeras o de riesgo.
Conagua y Protección Civil continuarán dando seguimiento puntual a la evolución del huracán Melissa durante los próximos días.

Deja un comentario Cancelar respuesta